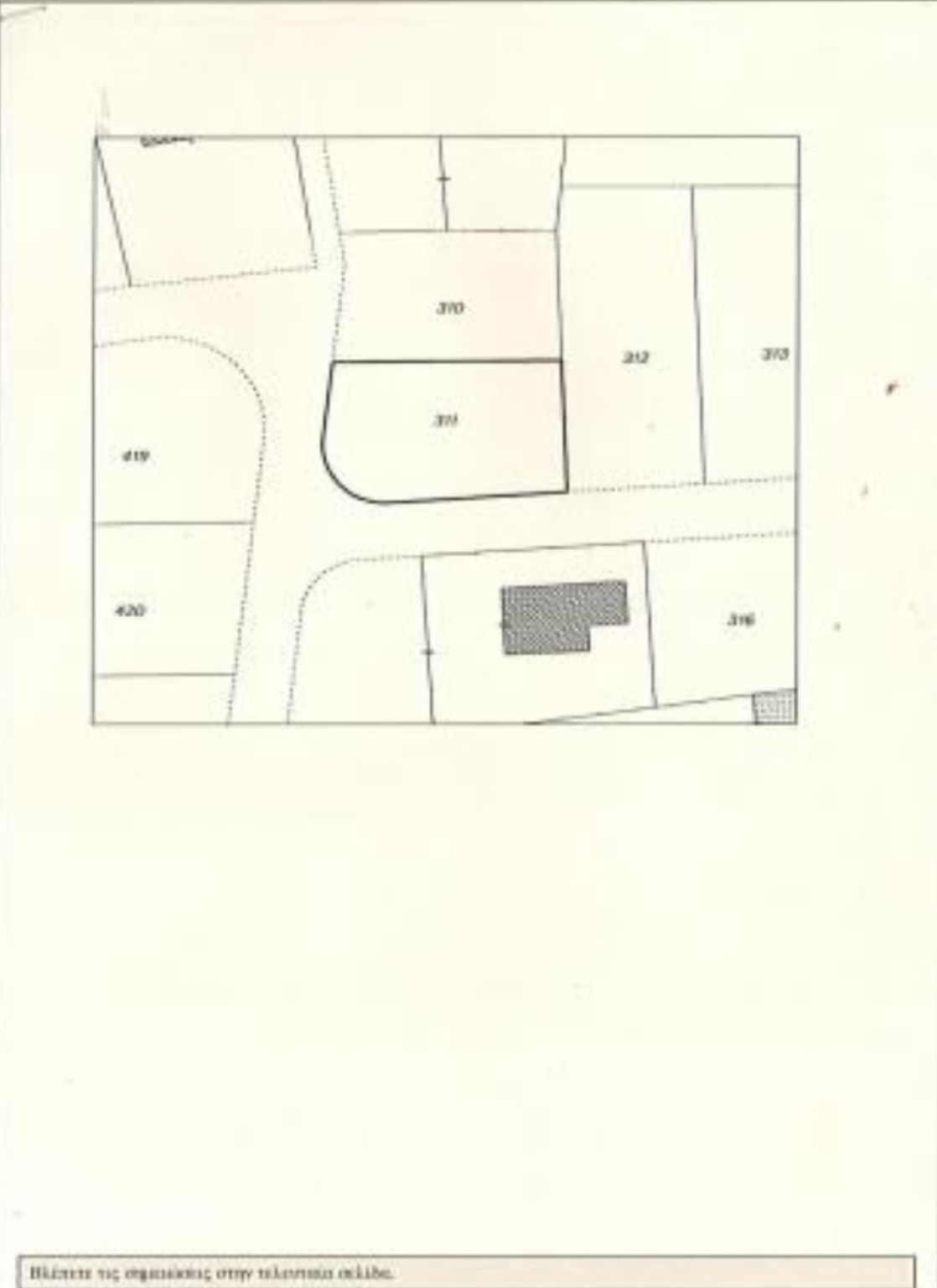
2 Plots 1,576m2 in Agios Tychonas - Amathus area, Limassol
For Sale / EUR 1.100.000 (VAT not included)
+357 99403589
Property ID:
#28695
21
2
20
Town:
Agios Tychonas - Tourist Area
District:
Limassol
Plot Size:
1.576 m2
Share this property:
Property Actions:
Print
Request
Bookmark
Bookmarked
Recommend
Metric Conv
Mortgage
Download 3 property image
DESCRIPTION
Size: 1,576sqm (2 Plots)
Plus VAT
-Zone: Ka10
-Building coefficient :30%
-Maximum Floors: 2
-Maximum Height: 10m
-Covered Area: 20%
Located 600m from the sea.
Fantastic Sea views.
Title deeds.
MAIN PROPERTY FEATURES
Spectacular sea views
Sea View
Title Deeds
MAP
Other property suggestions
#32590
EUR 1.100.000
Agios Tychonas, Limassol
Building Plot & Land For Sale (Reduced from EUR 1.200.000)



